Sandövägen 138

Sandövägen 138

Vallda Palta, Vallda

Tomt med högt utsiktsläge!

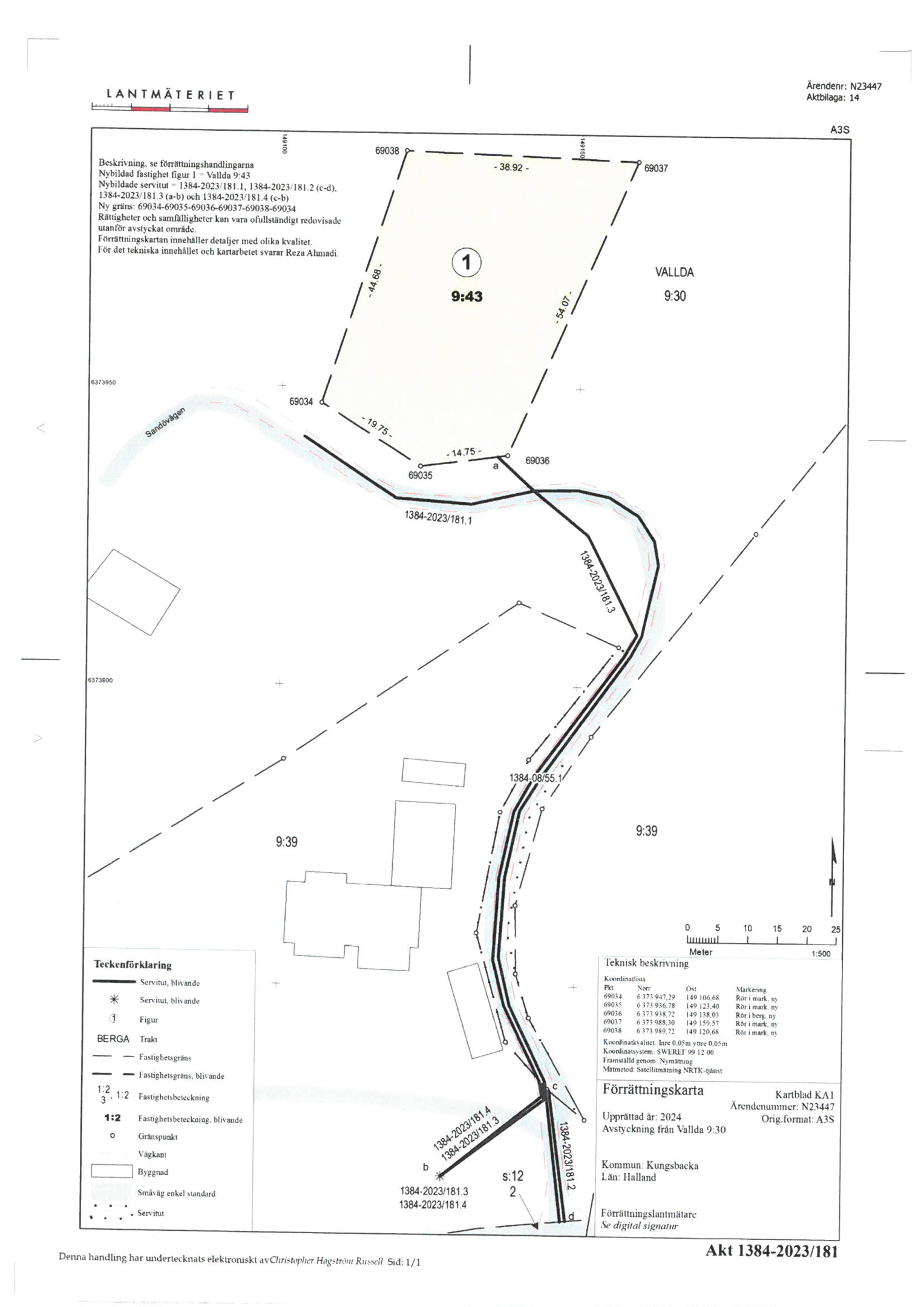
Välkommen till denna fantastiska möjlighet att förverkliga dina husdrömmar på attraktiva Sandövägen 138 i Vallda! Här erbjuds en generös tomt om hela 1 798 m² i ett högt och fint läge, vilket ger en härlig känsla av rymd och potential för en bostad med vacker omgivning. Tomten är friköpt och ger dig friheten att skapa ett boende helt efter dina egna önskemål – oavsett om du drömmer om en modern villa eller ett stilrent fritidshus. Området präglas av lugn och vacker natur med närhet till det bästa västkusten har att erbjuda. Här bor du med bekvämt avstånd till golfbana, badplatser, båthamn samt skola, vilket gör läget perfekt för både permanentboende och fritidsliv. Goda kommunikationer med buss underlättar vardagen ytterligare. Kommunalt vatten och avlopp planeras vid tomtgräns (bekostas av säljaren), vilket skapar goda förutsättningar för framtida byggnation.

Fakta

Utgångspris
3 800 000 kr
Tomtarea

1 798 m²

Fast.beteckning:

Vallda 9:43

Auktoriserad Fastighetsmäklare

Profil

Gunilla Håkansson

0708-255710

gunilla@gunillah.se

Vatten och avlopp

Vatten saknas. Avlopp saknas.

Taxeringsuppgifter

Typkod

210, Småhusenhet, tomtmark.

Totalt

3 562 000 kr

Mark

3 562 000 kr

Skatt/avgift

35 620 kr

Taxeringsår

2025

Närområde

Naturskönt.

Kommunikation

Buss.


Karta



Bilder